Share
$538,000
Alberta,Lac La Biche
For Sale Active
14006 HIGHWAY 36/55 Bypass, Lac La Biche, Alberta T0A2C0
Contact Seller
Basic Details
Description

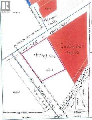
4.74 ACRE CORNER SITE in Lac La Biche, Alberta – HIGH traffic location on Highway 36 & 55/881 Highway BYPASS Next to this site is Independent Foods grocery Store & going up is the New MacDonald’s as well is GROWTH is happening and be the owner of this great site! Perfect fit for a hotel site; commercial Strip mall

site and many other possibilities! The site will require fill and other work to bring to building spec but at this price you cant beat it! Being “sold as is where is” but priced to move! Call Today! (id:64429)

Read More
Basic Details
  • Property Type: Residential
  • Listing Type: For Sale
  • Listing ID: A2231890
  • Price: $538,000
  • Status: Active
  • Property Sub Type: Vacant Land
  • Office Key: 110374
Features & Appliances
Features
  • Fence: Not fenced
Address Map
  • Location: CA, Alberta, Lac La Biche, Lac La Biche, T0A2C0
  • Street: HIGHWAY 36/55
  • Street Number: 14006
  • Street Suffix: Bypass
  • Longitude: W112° 0' 30.9''
  • Latitude: N54° 45' 50.9''
Additional Information
  • Lot Size Dimensions: 4.74
Financial
  • Tax Annual Amount: 2149
Powered by REALTOR.ca
Listing updated: 2026-04-29 12:11:20
List Your Property
Mortgage Calculator
Get Pre-Approved
$
$
%
%
years
Monthly Payment (Est.) $
Listing Information
  • List Agent Key: 1435290
  • List Office Key: 110374
  • Modification Timestamp: 2026-04-29T06:20:26Z
  • Originating System Name: Fort McMurray REALTORS®
  • Status Change Timestamp: 2026-04-29T06:13:49Z
Powered by REALTOR.ca
Listing updated: 2026-04-29 12:11:20
REALTOR®, REALTORS®, and the REALTOR® logo are certification marks that are owned by REALTOR® Canada Inc. and licensed exclusively to The Canadian Real Estate Association (CREA). These certification marks identify real estate professionals who are members of CREA and who must abide by CREA’s By‐Laws, Rules, and the REALTOR® Code. The MLS® trademark and the MLS® logo are owned by CREA and identify the quality of services provided by real estate professionals who are members of CREA.

The information contained on this site is based in whole or in part on information that is provided by members of The Canadian Real Estate Association, who are responsible for its accuracy. CREA reproduces and distributes this information as a service for its members and assumes no responsibility for its accuracy.

Website is operated by a brokerage or salesperson who is a member of The Canadian Real Estate Association.

The listing content on this website is protected by copyright and other laws, and is intended solely for the private, non‐commercial use by individuals. Any other reproduction, distribution or use of the content, in whole or in part, is specifically forbidden. The prohibited uses include commercial use, “screen scraping”, “database scraping”, and any other activity intended to collect, store, reorganize or manipulate data on the pages produced by or displayed on this website.

By continuing to use this website and its services, you agree to these

These forms are provided to ComFree’s Unrepresented Sellers as a part of their Mere Posting ComFree Listing Contract.

I acknowledge I can only access these forms as a ComFree customer under contract.

These forms are provided to ComFree’s Unrepresented Sellers as a part of their Mere Posting ComFree Listing Contract and in partnership with Zubic Law.

I acknowledge I can only access these forms as a ComFree customer under contract.

These forms are provided to ComFree’s Unrepresented Sellers as a part of their Mere Posting ComFree Listing Contract and in partnership with Zubic Law.

I acknowledge I can only access these forms as a ComFree customer under contract.

How It Works

1. Purchase Your Package

2. We Ship Your ‘For Sale’ Sign

3. Book Your VR Tour

4. Complete Listing Input Forms

5. We Make Your Listing Live

6. Get Support 7 Days a Week

7. iSOLD!