Share
$70,000
Saskatchewan,Weyburn Rm No. 67
For Sale Active
The Grasslands, Weyburn Rm No. 67, Saskatchewan S4H2K3
Contact Seller
Basic Details
Description

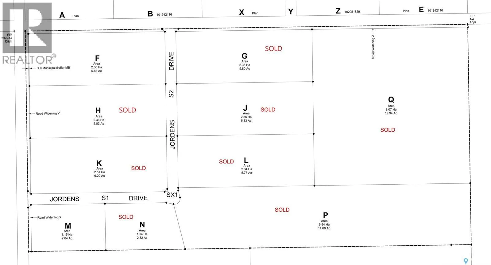
Welcome to the Grasslands – Weyburn’s Premier Acreage Development! Located less than a mile from the north edge of Weyburn and just a short drive down the 16th St grid, you’ll find a fantastic assortment of acreage plots. The listed property (Parcel ‘M’) is nicely sized at approx. 3 acres (2.84). The developer has one other acreage parcel available –

Parcel ‘F’ – 5.83 acres which is priced at $85,000+ GST. Servicing the development is a central, drive through, ‘L’-shaped grid road (maintained by the RM of Weyburn), from which owners can have access lanes built to their yard sites. Central power, energy, phone, and water lines have been installed along this internal road with the buyer being responsible for the scheduling and cost to bring these into their lot/yard site. This development is zoned by the Weyburn RM as Country Residential and as such, represents a fantastic opportunity for those looking for more space than the city allows, without the disturbance of larger commercial or farming operations. Take a drive out to The Grasslands and look around. With a prime location north of the city, minimal gravel driving, well-maintained central and development access roads, and very convenient distance to Weyburn and access to HWY 35, this acreage development represents an affordable and attractive opportunity for acreage life in view of the city. With several parcels already having completed homes, the development is really taking shape and with only a limited number left available, these acreage plots will go. Call for more information and showings. (id:62650)

Read More
Basic Details
  • Property Type: Residential
  • Listing Type: For Sale
  • Listing ID: SK018276
  • Price: $70,000
  • Status: Active
  • Property Sub Type: Vacant Land
  • Office Key: 153088
Address Map
  • Location: CA, Saskatchewan, Weyburn Rm No. 67, S4H2K3
  • Longitude: W104° 9' 54.4''
  • Latitude: N49° 41' 39.1''
Additional Information
  • Lot Features:
  • Lot Size Dimensions: 2.84
Powered by REALTOR.ca
Listing updated: 2026-04-25 19:30:12
List Your Property
Mortgage Calculator
Get Pre-Approved
$
$
%
%
years
Monthly Payment (Est.) $
Similar Properties
Listing Information
  • List Agent Key: 1956520
  • List Office Key: 153088
  • Modification Timestamp: 2025-10-15T18:15:35Z
  • Originating System Name: Saskatchewan REALTORS® Association
  • Status Change Timestamp: 2025-10-15T17:51:38Z
Powered by REALTOR.ca
Listing updated: 2026-04-25 19:30:12
REALTOR®, REALTORS®, and the REALTOR® logo are certification marks that are owned by REALTOR® Canada Inc. and licensed exclusively to The Canadian Real Estate Association (CREA). These certification marks identify real estate professionals who are members of CREA and who must abide by CREA’s By‐Laws, Rules, and the REALTOR® Code. The MLS® trademark and the MLS® logo are owned by CREA and identify the quality of services provided by real estate professionals who are members of CREA.

The information contained on this site is based in whole or in part on information that is provided by members of The Canadian Real Estate Association, who are responsible for its accuracy. CREA reproduces and distributes this information as a service for its members and assumes no responsibility for its accuracy.

Website is operated by a brokerage or salesperson who is a member of The Canadian Real Estate Association.

The listing content on this website is protected by copyright and other laws, and is intended solely for the private, non‐commercial use by individuals. Any other reproduction, distribution or use of the content, in whole or in part, is specifically forbidden. The prohibited uses include commercial use, “screen scraping”, “database scraping”, and any other activity intended to collect, store, reorganize or manipulate data on the pages produced by or displayed on this website.

By continuing to use this website and its services, you agree to these

These forms are provided to ComFree’s Unrepresented Sellers as a part of their Mere Posting ComFree Listing Contract.

I acknowledge I can only access these forms as a ComFree customer under contract.

These forms are provided to ComFree’s Unrepresented Sellers as a part of their Mere Posting ComFree Listing Contract and in partnership with Zubic Law.

I acknowledge I can only access these forms as a ComFree customer under contract.

These forms are provided to ComFree’s Unrepresented Sellers as a part of their Mere Posting ComFree Listing Contract and in partnership with Zubic Law.

I acknowledge I can only access these forms as a ComFree customer under contract.

How It Works

1. Purchase Your Package

2. We Ship Your ‘For Sale’ Sign

3. Book Your VR Tour

4. Complete Listing Input Forms

5. We Make Your Listing Live

6. Get Support 7 Days a Week

7. iSOLD!