Share
$1,298,000
Saskatchewan,Tisdale
For Sale Active
352 Pembina ROAD, Tisdale, Saskatchewan S0E1T0
Contact Seller
Basic Details
Description

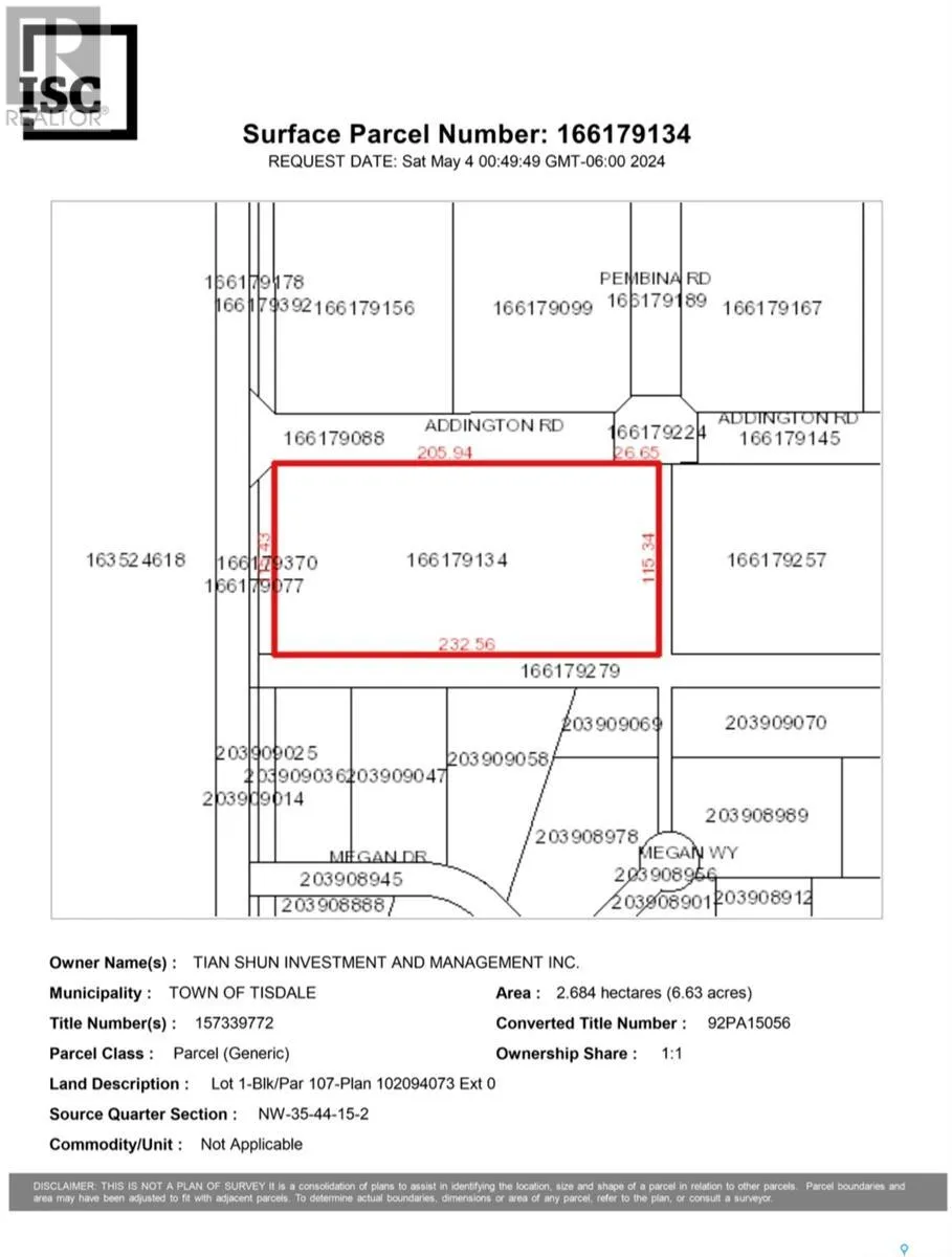
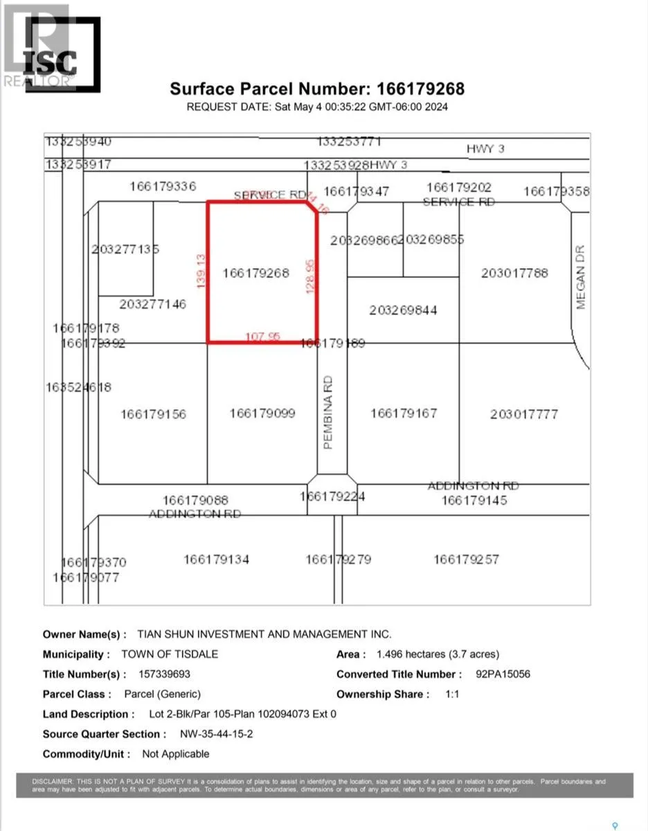
Unlock the potential of this exceptional 48.15-acre property, featuring 10 fully connected lots offered as one exclusive package. Perfectly positioned along a high-traffic, well-serviced highway frontage with a convenient service road, this site offers unbeatable visibility and access—ideal for commercial, industrial, or mixed-use development. Located on a major truck route in the thriving community of Tisdale, North East Saskatchewan’s central

hub, this property benefits from the area’s strong economic growth, strategic location, and efficient commercial infrastructure. Approximately 5 acres have already been leveled, and existing development plans can be included in the sale. Don’t miss this rare chance to secure premium land in one of Saskatchewan’s most promising regions. Contact the agent today to explore the full potential of this high-yield opportunity. (id:62650)

Read More
Basic Details
  • Property Type: Residential
  • Listing Type: For Sale
  • Listing ID: SK005270
  • Price: $1,298,000
  • Status: Active
  • Property Sub Type: Vacant Land
  • Office Key: 48307
Features & Appliances
Features
  • Heating System: Other
Address Map
  • Location: CA, Saskatchewan, Tisdale, S0E1T0
  • Longitude: W105° 55' 6.6''
  • Latitude: N52° 50' 26.5''
Additional Information
  • Lot Size Dimensions: 48.15
  • Possible Use: Development commercial
Financial
  • Tax Annual Amount: 31537
Powered by REALTOR.ca
Listing updated: 2026-04-21 07:45:11
List Your Property
Mortgage Calculator
Get Pre-Approved
$
$
%
%
years
Monthly Payment (Est.) $
Listing Information
  • List Agent Key: 1978594
  • List Office Key: 48307
  • Modification Timestamp: 2026-01-28T04:30:31Z
  • Originating System Name: Saskatchewan REALTORS® Association
  • Status Change Timestamp: 2026-01-28T04:16:44Z
Powered by REALTOR.ca
Listing updated: 2026-04-21 07:45:12
REALTOR®, REALTORS®, and the REALTOR® logo are certification marks that are owned by REALTOR® Canada Inc. and licensed exclusively to The Canadian Real Estate Association (CREA). These certification marks identify real estate professionals who are members of CREA and who must abide by CREA’s By‐Laws, Rules, and the REALTOR® Code. The MLS® trademark and the MLS® logo are owned by CREA and identify the quality of services provided by real estate professionals who are members of CREA.

The information contained on this site is based in whole or in part on information that is provided by members of The Canadian Real Estate Association, who are responsible for its accuracy. CREA reproduces and distributes this information as a service for its members and assumes no responsibility for its accuracy.

Website is operated by a brokerage or salesperson who is a member of The Canadian Real Estate Association.

The listing content on this website is protected by copyright and other laws, and is intended solely for the private, non‐commercial use by individuals. Any other reproduction, distribution or use of the content, in whole or in part, is specifically forbidden. The prohibited uses include commercial use, “screen scraping”, “database scraping”, and any other activity intended to collect, store, reorganize or manipulate data on the pages produced by or displayed on this website.

By continuing to use this website and its services, you agree to these

These forms are provided to ComFree’s Unrepresented Sellers as a part of their Mere Posting ComFree Listing Contract.

I acknowledge I can only access these forms as a ComFree customer under contract.

These forms are provided to ComFree’s Unrepresented Sellers as a part of their Mere Posting ComFree Listing Contract and in partnership with Zubic Law.

I acknowledge I can only access these forms as a ComFree customer under contract.

These forms are provided to ComFree’s Unrepresented Sellers as a part of their Mere Posting ComFree Listing Contract and in partnership with Zubic Law.

I acknowledge I can only access these forms as a ComFree customer under contract.

How It Works

1. Purchase Your Package

2. We Ship Your ‘For Sale’ Sign

3. Book Your VR Tour

4. Complete Listing Input Forms

5. We Make Your Listing Live

6. Get Support 7 Days a Week

7. iSOLD!