Share
$849,900
Alberta,St. Paul Town
For Sale Active
5406 46 Street, St. Paul Town, Alberta T0A3A2
  • 8,524 Sqft
Contact Seller
Basic Details
Description

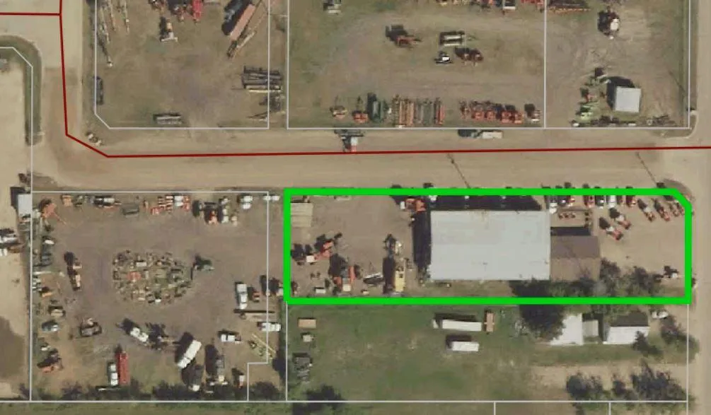
Commercial/Industrial Opportunity! This versatile property spans over 2 acres over two lots, offering ample room to expand & grow your business. The main storefront features a welcoming reception area, multiple offices, a convenient parts counter, storage, and two washrooms. Upstairs, a 600 sq. ft. mezzanine provides additional storage or a staff room. The highlight is the massive 82×70 shop with

a 16 ft overhead door, durable concrete floors, and 220 amp power – perfect for heavy-duty operations. A covered outdoor work area expands functionality, while the fully fenced yard at the back is ideal for storage or display. Recent updates include a newer metal roof, and the property is fully serviced with town utilities. Additional lots are available (43688832) to further support future growth. Whether you’re in agriculture, mechanics, or looking to scale an existing operation, this property delivers space, functionality, and unlimited potential. The possibilities for your expanding business are endless! (id:64429)

Read More
Basic Details
  • Property Type: Commercial Sale
  • Listing Type: For Sale
  • Listing ID: 43688828
  • Price: $849,900
  • Square Footage: 8,524 Sqft
  • Year Built: 1973
  • Status: Active
  • Property Sub Type: Industrial
  • Office Key: 274677
Address Map
  • Location: CA, Alberta, St. Paul Town, T0A3A2
  • Longitude: W112° 42' 51''
  • Latitude: N53° 59' 44.8''
Additional Information
  • Lot Size Dimensions: 100187.99999999999
Powered by REALTOR.ca
Listing updated: 2026-04-26 08:46:12
List Your Property
Mortgage Calculator
Get Pre-Approved
$
$
%
%
years
Monthly Payment (Est.) $
Listing Information
  • List Agent Key: 1859660
  • List Office Key: 274677
  • Modification Timestamp: 2026-02-25T19:25:36Z
  • Originating System Name: REALTORS® Association of Edmonton – Commercial
  • Status Change Timestamp: 2026-02-25T19:19:23Z
Powered by REALTOR.ca
Listing updated: 2026-04-26 08:46:13
REALTOR®, REALTORS®, and the REALTOR® logo are certification marks that are owned by REALTOR® Canada Inc. and licensed exclusively to The Canadian Real Estate Association (CREA). These certification marks identify real estate professionals who are members of CREA and who must abide by CREA’s By‐Laws, Rules, and the REALTOR® Code. The MLS® trademark and the MLS® logo are owned by CREA and identify the quality of services provided by real estate professionals who are members of CREA.

The information contained on this site is based in whole or in part on information that is provided by members of The Canadian Real Estate Association, who are responsible for its accuracy. CREA reproduces and distributes this information as a service for its members and assumes no responsibility for its accuracy.

Website is operated by a brokerage or salesperson who is a member of The Canadian Real Estate Association.

The listing content on this website is protected by copyright and other laws, and is intended solely for the private, non‐commercial use by individuals. Any other reproduction, distribution or use of the content, in whole or in part, is specifically forbidden. The prohibited uses include commercial use, “screen scraping”, “database scraping”, and any other activity intended to collect, store, reorganize or manipulate data on the pages produced by or displayed on this website.

By continuing to use this website and its services, you agree to these

These forms are provided to ComFree’s Unrepresented Sellers as a part of their Mere Posting ComFree Listing Contract.

I acknowledge I can only access these forms as a ComFree customer under contract.

These forms are provided to ComFree’s Unrepresented Sellers as a part of their Mere Posting ComFree Listing Contract and in partnership with Zubic Law.

I acknowledge I can only access these forms as a ComFree customer under contract.

These forms are provided to ComFree’s Unrepresented Sellers as a part of their Mere Posting ComFree Listing Contract and in partnership with Zubic Law.

I acknowledge I can only access these forms as a ComFree customer under contract.

How It Works

1. Purchase Your Package

2. We Ship Your ‘For Sale’ Sign

3. Book Your VR Tour

4. Complete Listing Input Forms

5. We Make Your Listing Live

6. Get Support 7 Days a Week

7. iSOLD!