Share
$199,800
British Columbia,Nelson
For Sale Active
7298 Highway 3A Unit# Lot A, Nelson, British Columbia V1L6S4
Contact Seller
Basic Details
Description

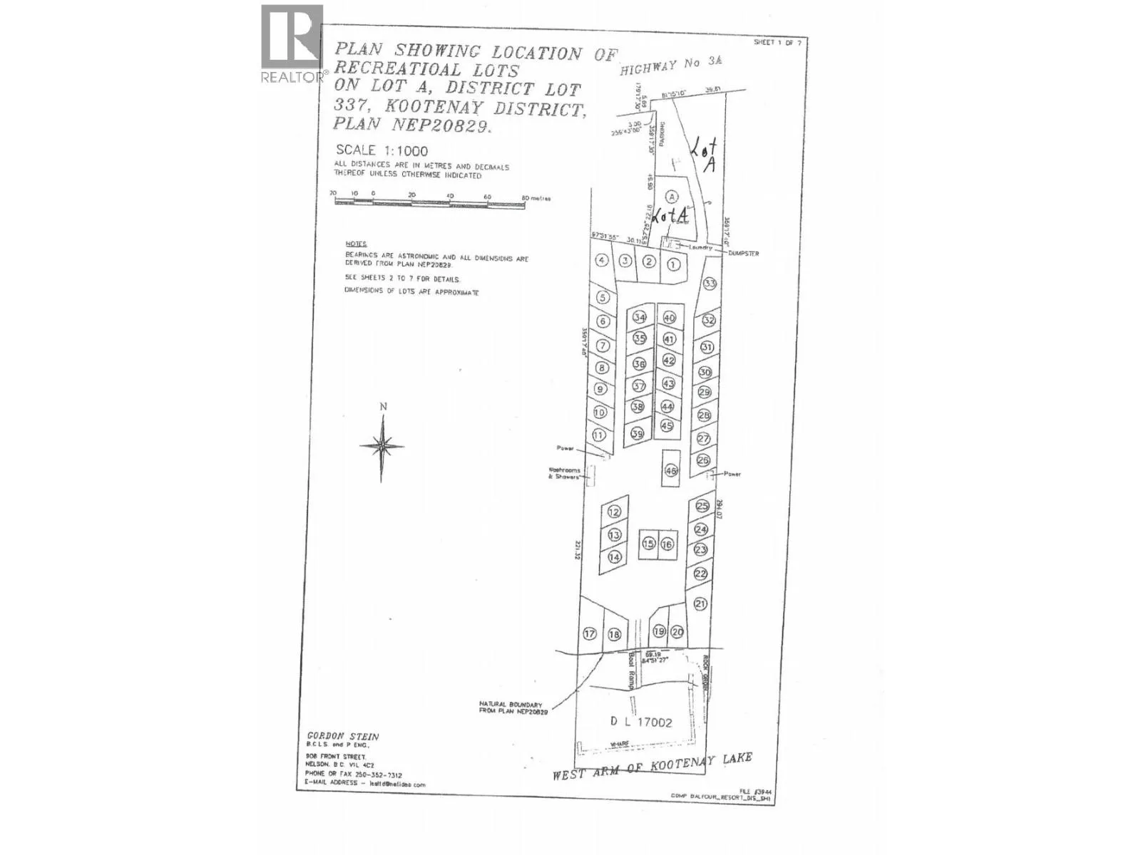
UNIQUE OPPORTUNITY Start planning your downsizing now in Balfour! YOUR LIFESTYLE! Own a piece of tranquility in this peaceful and well-maintained Gated RV community, where pets are welcome. Only one close to half acre lot (.489 acres) split in two: bring your Z240 Park Model, Mobile Home or build your own home and live “year around”. Enquire

about vendor take-back mortgage, request the Marketing Brochure. LOCATION! Nestled along the pristine West Arm of Kootenay Lake, endless outdoor adventures await, from boating and fishing to kayaking and golfing, as well as scenic hiking trails. Venture out to nearby attractions like Kaslo (36 km away), Ainsworth Hot Springs (just 15 km), or take a scenic 30-minute drive to the charming town of Nelson. There, explore the historic Baker Street for shopping, indulge in delicious dining options, or savor a craft beer at one of the local microbreweries. (39606552) (id:62650)

Read More
Basic Details
  • Property Type: Residential
  • Listing Type: For Sale
  • Listing ID: 10372353
  • Price: $199,800
  • View: Lake view,Mountain view
  • Status: Active
  • Property Sub Type: Vacant Land
  • Office Key: 241488
Features & Appliances
Features
  • Fence: Fence
  • Utilities: Water, Electricity, Sewer, Cable, Telephone
Address Map
  • Location: CA, British Columbia, Nelson, V1L6S4
  • Street: Highway 3A
  • Street Number: 7298
  • Street Suffix: Other
  • Longitude: W117° 0' 34.9''
  • Latitude: N49° 37' 20.3''
Additional Information
  • Water Source:
  • Community Features:
  • Lot Features:
  • Lot Size Dimensions: 0.49
Financial
  • Association Fee: 2000
  • Association Fee Frequency: Yearly
  • Association Fee Includes:
Powered by REALTOR.ca
Listing updated: 2026-04-17 18:35:38
List Your Property
Mortgage Calculator
Get Pre-Approved
$
$
%
%
years
Monthly Payment (Est.) $
Listing Information
  • List Agent Key: 1958178
  • List Office Key: 241488
  • Modification Timestamp: 2026-04-08T17:01:05Z
  • Originating System Name: Association of Interior REALTORS®
  • Status Change Timestamp: 2026-04-08T16:53:33Z
Powered by REALTOR.ca
Listing updated: 2026-04-17 18:35:39
REALTOR®, REALTORS®, and the REALTOR® logo are certification marks that are owned by REALTOR® Canada Inc. and licensed exclusively to The Canadian Real Estate Association (CREA). These certification marks identify real estate professionals who are members of CREA and who must abide by CREA’s By‐Laws, Rules, and the REALTOR® Code. The MLS® trademark and the MLS® logo are owned by CREA and identify the quality of services provided by real estate professionals who are members of CREA.

The information contained on this site is based in whole or in part on information that is provided by members of The Canadian Real Estate Association, who are responsible for its accuracy. CREA reproduces and distributes this information as a service for its members and assumes no responsibility for its accuracy.

Website is operated by a brokerage or salesperson who is a member of The Canadian Real Estate Association.

The listing content on this website is protected by copyright and other laws, and is intended solely for the private, non‐commercial use by individuals. Any other reproduction, distribution or use of the content, in whole or in part, is specifically forbidden. The prohibited uses include commercial use, “screen scraping”, “database scraping”, and any other activity intended to collect, store, reorganize or manipulate data on the pages produced by or displayed on this website.

By continuing to use this website and its services, you agree to these

These forms are provided to ComFree’s Unrepresented Sellers as a part of their Mere Posting ComFree Listing Contract.

I acknowledge I can only access these forms as a ComFree customer under contract.

These forms are provided to ComFree’s Unrepresented Sellers as a part of their Mere Posting ComFree Listing Contract and in partnership with Zubic Law.

I acknowledge I can only access these forms as a ComFree customer under contract.

These forms are provided to ComFree’s Unrepresented Sellers as a part of their Mere Posting ComFree Listing Contract and in partnership with Zubic Law.

I acknowledge I can only access these forms as a ComFree customer under contract.

How It Works

1. Purchase Your Package

2. We Ship Your ‘For Sale’ Sign

3. Book Your VR Tour

4. Complete Listing Input Forms

5. We Make Your Listing Live

6. Get Support 7 Days a Week

7. iSOLD!