Share
$2,200,000
Ontario,Mississauga (Rathwood)
For Sale Active
4097 HICKORY DRIVE, Mississauga (Rathwood), Ontario L4W1L1
  • 4
  • 3
  • 3000 - 3500Square Feet
Basic Details
Description

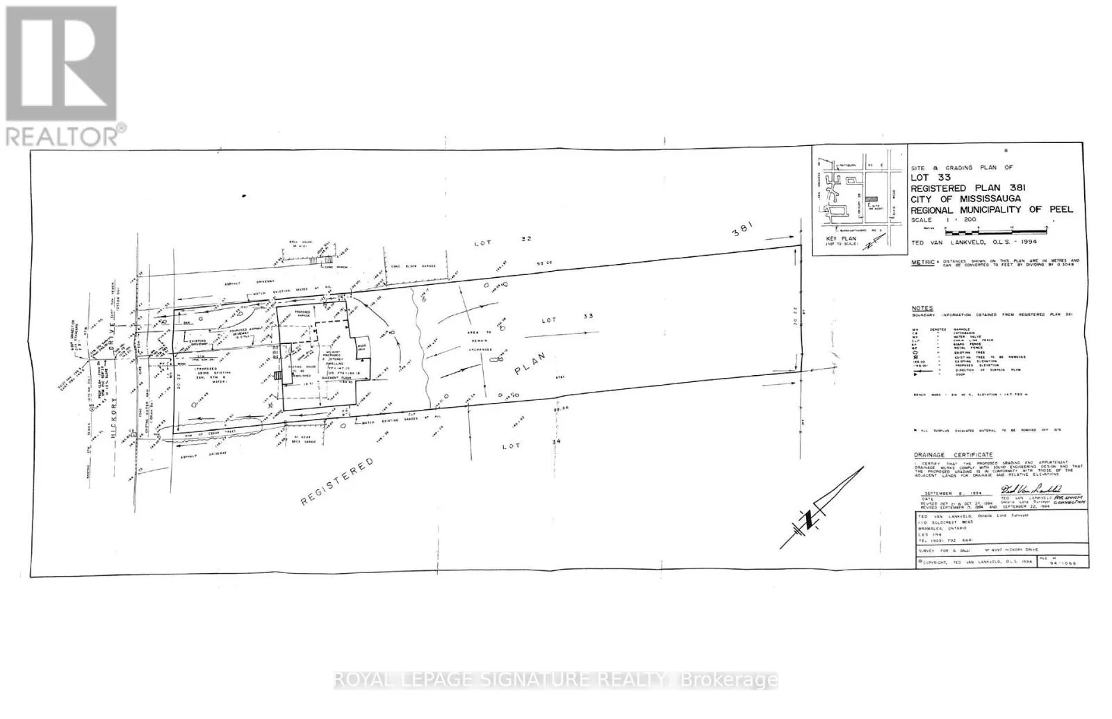
RARE 1/2 ACRE ESTATE – UNMATCHED DEVELOPMENT FLEXIBILITY Discover the largest residential lot in Rathwood! Massive 66′ x 325′ footprint with Medium Density Residential status-offering potential far beyond the average R4 lot. A true developer’s dream or a multi-family legacy property.THE OPPORTUNITY: * Massive Building Envelope: Perfect for a high-end luxury residence, substantial rear additions, or a complete custom rebuild

(subject to Mississauga infill bylaws).Increased Density: Zoning permits gentle density-ideal for a Fourplex (up to 4 units) or a prime residence + ARUs (Basement Apartment + Detached Garden Suite).Garden Suite Potential: Ample space for a detached secondary dwelling while still retaining a massive, private backyard with room for a pool and professional landscaping.Multigenerational Haven: Current well-maintained 3,000+ SF home features 2 kitchens, a side entrance, and a 3-car garage w main floor entrance. Live or rent while you permit! Don’t settle for a standard lot. Secure Rathwood’s premier land assembly today. SEE ATTACHED ZONING DOCUMENT. Disclaimer: Buyers to perform their own due diligence regarding zoning, severances, permits, and City of Mississauga development charges/bylaws. All development potential is subject to municipal approval. (id:62650)

Read More
Basic Details
  • Property Type: Residential
  • Listing Type: For Sale
  • Listing ID: W12829116
  • Price: $2,200,000
  • Bedrooms: 4
  • Bathrooms: 3
  • Square Footage: 3000 - 3500 Sqft
  • Status: Active
  • Property Sub Type: Single Family
  • Office Key: 275784
Features & Appliances
Features
  • Heating System: Forced air, Natural gas
  • Cooling System: Central air conditioning
  • Basement: Full, Partially finished
  • Parking: Garage, Attached Garage
  • Exterior Features: Brick
  • Sewer: Sanitary sewer
Address Map
  • Location: CA, Ontario, Mississauga (Rathwood), L4W1L1
  • Street: Hickory
  • Street Number: 4097
  • Street Suffix: Drive
  • Longitude: W80° 23' 38.5''
  • Latitude: N43° 37' 20.5''
Additional Information
  • Water Source:
  • Foundation Details:
  • Lot Features:
  • Lot Size Dimensions: 66.3 x 325 FT
  • Stories: 2.0
Financial
  • Tax Annual Amount: 10803.88
Powered by REALTOR.ca
Listing updated: 2026-04-21 01:38:01
List Your Property
Mortgage Calculator
Get Pre-Approved
$
$
%
%
years
Monthly Payment (Est.) $
Listing Information
  • List Agent Key: 1964176
  • List Office Key: 275784
  • Modification Timestamp: 2026-03-31T15:50:12Z
  • Originating System Name: Toronto Regional Real Estate Board
  • Status Change Timestamp: 2026-03-31T15:45:01Z
Powered by REALTOR.ca
Listing updated: 2026-04-21 01:38:02
REALTOR®, REALTORS®, and the REALTOR® logo are certification marks that are owned by REALTOR® Canada Inc. and licensed exclusively to The Canadian Real Estate Association (CREA). These certification marks identify real estate professionals who are members of CREA and who must abide by CREA’s By‐Laws, Rules, and the REALTOR® Code. The MLS® trademark and the MLS® logo are owned by CREA and identify the quality of services provided by real estate professionals who are members of CREA.

The information contained on this site is based in whole or in part on information that is provided by members of The Canadian Real Estate Association, who are responsible for its accuracy. CREA reproduces and distributes this information as a service for its members and assumes no responsibility for its accuracy.

Website is operated by a brokerage or salesperson who is a member of The Canadian Real Estate Association.

The listing content on this website is protected by copyright and other laws, and is intended solely for the private, non‐commercial use by individuals. Any other reproduction, distribution or use of the content, in whole or in part, is specifically forbidden. The prohibited uses include commercial use, “screen scraping”, “database scraping”, and any other activity intended to collect, store, reorganize or manipulate data on the pages produced by or displayed on this website.

By continuing to use this website and its services, you agree to these

These forms are provided to ComFree’s Unrepresented Sellers as a part of their Mere Posting ComFree Listing Contract.

I acknowledge I can only access these forms as a ComFree customer under contract.

These forms are provided to ComFree’s Unrepresented Sellers as a part of their Mere Posting ComFree Listing Contract and in partnership with Zubic Law.

I acknowledge I can only access these forms as a ComFree customer under contract.

These forms are provided to ComFree’s Unrepresented Sellers as a part of their Mere Posting ComFree Listing Contract and in partnership with Zubic Law.

I acknowledge I can only access these forms as a ComFree customer under contract.

How It Works

1. Purchase Your Package

2. We Ship Your ‘For Sale’ Sign

3. Book Your VR Tour

4. Complete Listing Input Forms

5. We Make Your Listing Live

6. Get Support 7 Days a Week

7. iSOLD!