Share
$795,000
Ontario,Brampton (Brampton West)
For Sale Active
9 ROGERS ROAD, Brampton (Brampton West), Ontario L6X1L7
  • 3
  • 2
  • 700 - 1100Square Feet
Contact Seller
Basic Details
Description

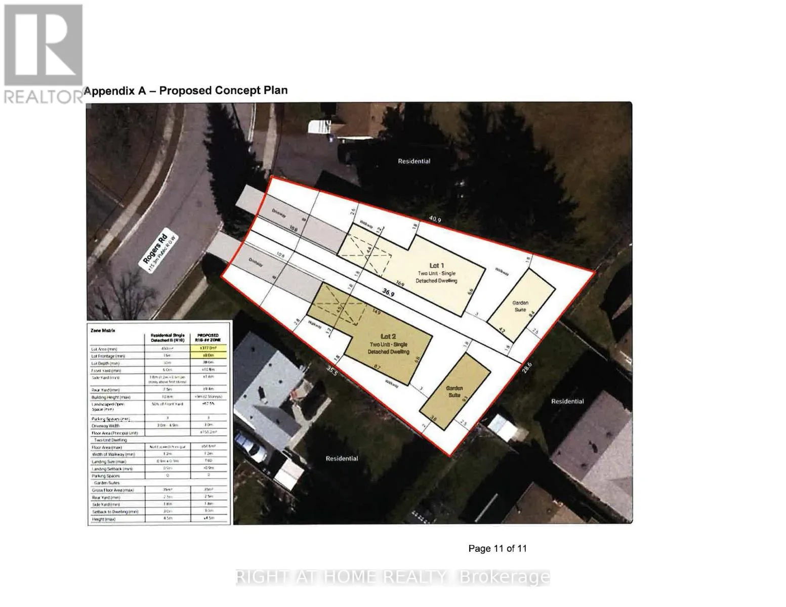
move-in ready, new paint on main floor; Large shed and separate workshop, Basement windows above grade. Sold Under Power Of Sale Therefore As Is/Where Is Without Any Warranties From The Seller. However – attention builders and contractors – this is a large lot, potential for severance (severance process started already, which has been approved with a possibility of building two

homes with garden suites for additional rental income – see attached proposal for severance in one of the pictures. Or… continue using it AS IS (single family home on a large lot with big mature trees). NOTE: basement has a separate hydro meter (id:62650)

Read More
Basic Details
  • Property Type: Residential
  • Listing Type: For Sale
  • Listing ID: W12836462
  • Price: $795,000
  • Bedrooms: 3
  • Bathrooms: 2
  • Square Footage: 700 - 1100 Sqft
  • Status: Active
  • Property Sub Type: Single Family
  • Office Key: 90198
Features & Appliances
Features
  • Heating System: Forced air, Natural gas
  • Cooling System: Window air conditioner
  • Basement: Finished, Separate entrance, N/A
  • Parking: No Garage
  • Architectural Style: Bungalow
  • Exterior Features: Brick
  • Flooring: Laminate, Ceramic
  • Sewer: Sanitary sewer
Address Map
  • Location: CA, Ontario, Brampton (Brampton West), L6X1L7
  • Street: Rogers
  • Street Number: 9
  • Street Suffix: Road
  • Longitude: W80° 13' 28.7''
  • Latitude: N43° 41' 36.4''
Additional Information
  • Water Source:
  • Foundation Details:
  • Lot Size Dimensions: 44.7 x 116 FT
  • Stories: 1.0
Financial
  • Tax Annual Amount: 4742
Powered by REALTOR.ca
Listing updated: 2026-04-20 07:40:13
List Your Property
Mortgage Calculator
Get Pre-Approved
$
$
%
%
years
Monthly Payment (Est.) $
Listing Information
  • List Agent Key: 1891773
  • List Office Key: 90198
  • Modification Timestamp: 2026-04-01T20:20:49Z
  • Originating System Name: Toronto Regional Real Estate Board
  • Status Change Timestamp: 2026-04-01T20:11:07Z
Powered by REALTOR.ca
Listing updated: 2026-04-20 07:40:14
REALTOR®, REALTORS®, and the REALTOR® logo are certification marks that are owned by REALTOR® Canada Inc. and licensed exclusively to The Canadian Real Estate Association (CREA). These certification marks identify real estate professionals who are members of CREA and who must abide by CREA’s By‐Laws, Rules, and the REALTOR® Code. The MLS® trademark and the MLS® logo are owned by CREA and identify the quality of services provided by real estate professionals who are members of CREA.

The information contained on this site is based in whole or in part on information that is provided by members of The Canadian Real Estate Association, who are responsible for its accuracy. CREA reproduces and distributes this information as a service for its members and assumes no responsibility for its accuracy.

Website is operated by a brokerage or salesperson who is a member of The Canadian Real Estate Association.

The listing content on this website is protected by copyright and other laws, and is intended solely for the private, non‐commercial use by individuals. Any other reproduction, distribution or use of the content, in whole or in part, is specifically forbidden. The prohibited uses include commercial use, “screen scraping”, “database scraping”, and any other activity intended to collect, store, reorganize or manipulate data on the pages produced by or displayed on this website.

By continuing to use this website and its services, you agree to these

These forms are provided to ComFree’s Unrepresented Sellers as a part of their Mere Posting ComFree Listing Contract.

I acknowledge I can only access these forms as a ComFree customer under contract.

These forms are provided to ComFree’s Unrepresented Sellers as a part of their Mere Posting ComFree Listing Contract and in partnership with Zubic Law.

I acknowledge I can only access these forms as a ComFree customer under contract.

These forms are provided to ComFree’s Unrepresented Sellers as a part of their Mere Posting ComFree Listing Contract and in partnership with Zubic Law.

I acknowledge I can only access these forms as a ComFree customer under contract.

How It Works

1. Purchase Your Package

2. We Ship Your ‘For Sale’ Sign

3. Book Your VR Tour

4. Complete Listing Input Forms

5. We Make Your Listing Live

6. Get Support 7 Days a Week

7. iSOLD!