Share
$89,000
Ontario,Frontenac (Frontenac Centre)
For Sale Active
LOT 0 COUNTY ROAD 38, Frontenac (Frontenac Centre), Ontario K0H2P0
Contact Seller
Basic Details
Description

Build your vision on this well-located vacant lot just minutes from Sharbot Lake. Situated along a major highway, the property offers excellent year-round access and convenient travel to surrounding communities while still placing you close to the natural beauty that makes this region so desirable. Sharbot Lake is known for its welcoming small-town atmosphere and its connection to the outdoors.

Enjoy boating, fishing, swimming, and paddling on nearby lakes, or explore hiking and cycling along the scenic K&P Trail. Local shops, restaurants, and everyday amenities are only minutes away in the village, while larger centres such as Kingston and Perth are within comfortable driving distance for expanded services, dining, shopping, entertainment and golf. Whether you’re planning a year-round residence or a future getaway, this property offers convenient location and country lifestyle. (id:62650)

Read More
Basic Details
  • Property Type: Residential
  • Listing Type: For Sale
  • Listing ID: X12875364
  • Price: $89,000
  • Status: Active
  • Property Sub Type: Vacant Land
  • Office Key: 290674
Features & Appliances
Features
  • Parking: No Garage
  • Utilities: Electricity
Address Map
  • Location: CA, Ontario, Frontenac (Frontenac Centre), K0H2P0
  • Street: County Road 38
  • Street Number: Lot 0
  • Longitude: W76° 3' 33.7''
  • Latitude: N44° 50' 13.6''
Additional Information
  • Community Features:
  • Lot Features:
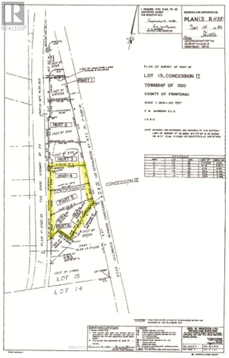
  • Lot Size Dimensions: 445 x 216 FT
Financial
  • Tax Annual Amount: 111.03
Powered by REALTOR.ca
Listing updated: 2026-04-25 19:45:46
List Your Property
Mortgage Calculator
Get Pre-Approved
$
$
%
%
years
Monthly Payment (Est.) $
Listing Information
  • List Agent Key: 1502125
  • List Office Key: 290674
  • Modification Timestamp: 2026-04-24T05:00:54Z
  • Originating System Name: Kingston & Area Real Estate Association
  • Status Change Timestamp: 2026-04-24T04:50:36Z
Powered by REALTOR.ca
Listing updated: 2026-04-25 19:45:46
REALTOR®, REALTORS®, and the REALTOR® logo are certification marks that are owned by REALTOR® Canada Inc. and licensed exclusively to The Canadian Real Estate Association (CREA). These certification marks identify real estate professionals who are members of CREA and who must abide by CREA’s By‐Laws, Rules, and the REALTOR® Code. The MLS® trademark and the MLS® logo are owned by CREA and identify the quality of services provided by real estate professionals who are members of CREA.

The information contained on this site is based in whole or in part on information that is provided by members of The Canadian Real Estate Association, who are responsible for its accuracy. CREA reproduces and distributes this information as a service for its members and assumes no responsibility for its accuracy.

Website is operated by a brokerage or salesperson who is a member of The Canadian Real Estate Association.

The listing content on this website is protected by copyright and other laws, and is intended solely for the private, non‐commercial use by individuals. Any other reproduction, distribution or use of the content, in whole or in part, is specifically forbidden. The prohibited uses include commercial use, “screen scraping”, “database scraping”, and any other activity intended to collect, store, reorganize or manipulate data on the pages produced by or displayed on this website.

By continuing to use this website and its services, you agree to these

These forms are provided to ComFree’s Unrepresented Sellers as a part of their Mere Posting ComFree Listing Contract.

I acknowledge I can only access these forms as a ComFree customer under contract.

These forms are provided to ComFree’s Unrepresented Sellers as a part of their Mere Posting ComFree Listing Contract and in partnership with Zubic Law.

I acknowledge I can only access these forms as a ComFree customer under contract.

These forms are provided to ComFree’s Unrepresented Sellers as a part of their Mere Posting ComFree Listing Contract and in partnership with Zubic Law.

I acknowledge I can only access these forms as a ComFree customer under contract.

How It Works

1. Purchase Your Package

2. We Ship Your ‘For Sale’ Sign

3. Book Your VR Tour

4. Complete Listing Input Forms

5. We Make Your Listing Live

6. Get Support 7 Days a Week

7. iSOLD!