Share
$1,500,000
Ontario,Fort Erie (Crescent Park)
For Sale Active
0-4496 DOMINION ROAD, Fort Erie (Crescent Park), Ontario L2A1H3
  • 3 Acre
Contact Seller
Basic Details
Description

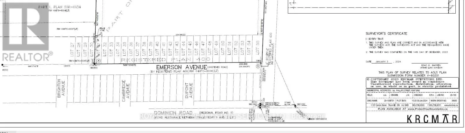
Two Parcel of Vacant Land, Walking Distance to the Crescent Beach, Conceptual plan showing 24 single lots(previously registred) on Emerson & Townhouses on the Dominion Road site, Buyer to do their own due diligence, the lots on Emerson are on the survey and legal description, the area is walking distance to the beach, services are available nearby to be extended

to the property, Property is 6km from the Peace Bridge and entry into the United States,and only 4km from Queen Elizabeth Way. The surrounding community is primarily residential, with neighbourhoodbusinesses and some institutional uses (schools, sports centres). The site has high visibility from Dominion Road, waterfront areas. 5-minute drive from Walmart, Starbucks, Sobeys, LCBO. Fort Erie is projecting growth to 48,050 residents and 18,430 jobs by theyear 2051, needing to accommodate 15,230 new residents. (id:62650)

Read More
Basic Details
  • Property Type: Residential
  • Listing Type: For Sale
  • Listing ID: X12912650
  • Price: $1,500,000
  • Square Footage: 3 Acre
  • Status: Active
  • Property Sub Type: Vacant Land
  • Office Key: 272316
Address Map
  • Location: CA, Ontario, Fort Erie (Crescent Park), L2A1H3
  • Street: DOMINION
  • Street Number: 0-4496
  • Street Suffix: Road
  • Longitude: W79° 2' 37.7''
  • Latitude: N42° 53' 12''
Additional Information
  • Water Source:
  • Business Type: Residential
  • Lot Size Dimensions: 3.3
Financial
  • Tax Annual Amount: 2165
Powered by REALTOR.ca
Listing updated: 2026-04-21 22:14:03
List Your Property
Mortgage Calculator
Get Pre-Approved
$
$
%
%
years
Monthly Payment (Est.) $
Listing Information
  • List Agent Key: 1642509
  • List Office Key: 272316
  • Modification Timestamp: 2026-03-25T19:30:38Z
  • Originating System Name: Toronto Regional Real Estate Board
  • Status Change Timestamp: 2026-03-25T19:19:43Z
Powered by REALTOR.ca
Listing updated: 2026-04-21 22:14:04
REALTOR®, REALTORS®, and the REALTOR® logo are certification marks that are owned by REALTOR® Canada Inc. and licensed exclusively to The Canadian Real Estate Association (CREA). These certification marks identify real estate professionals who are members of CREA and who must abide by CREA’s By‐Laws, Rules, and the REALTOR® Code. The MLS® trademark and the MLS® logo are owned by CREA and identify the quality of services provided by real estate professionals who are members of CREA.

The information contained on this site is based in whole or in part on information that is provided by members of The Canadian Real Estate Association, who are responsible for its accuracy. CREA reproduces and distributes this information as a service for its members and assumes no responsibility for its accuracy.

Website is operated by a brokerage or salesperson who is a member of The Canadian Real Estate Association.

The listing content on this website is protected by copyright and other laws, and is intended solely for the private, non‐commercial use by individuals. Any other reproduction, distribution or use of the content, in whole or in part, is specifically forbidden. The prohibited uses include commercial use, “screen scraping”, “database scraping”, and any other activity intended to collect, store, reorganize or manipulate data on the pages produced by or displayed on this website.

By continuing to use this website and its services, you agree to these

These forms are provided to ComFree’s Unrepresented Sellers as a part of their Mere Posting ComFree Listing Contract.

I acknowledge I can only access these forms as a ComFree customer under contract.

These forms are provided to ComFree’s Unrepresented Sellers as a part of their Mere Posting ComFree Listing Contract and in partnership with Zubic Law.

I acknowledge I can only access these forms as a ComFree customer under contract.

These forms are provided to ComFree’s Unrepresented Sellers as a part of their Mere Posting ComFree Listing Contract and in partnership with Zubic Law.

I acknowledge I can only access these forms as a ComFree customer under contract.

How It Works

1. Purchase Your Package

2. We Ship Your ‘For Sale’ Sign

3. Book Your VR Tour

4. Complete Listing Input Forms

5. We Make Your Listing Live

6. Get Support 7 Days a Week

7. iSOLD!