Share
$599,000
Ontario,Erin
For Sale Active
LOT 9 THIRD LINE, Erin, Ontario L7J2L8
Contact Seller
Basic Details
Description

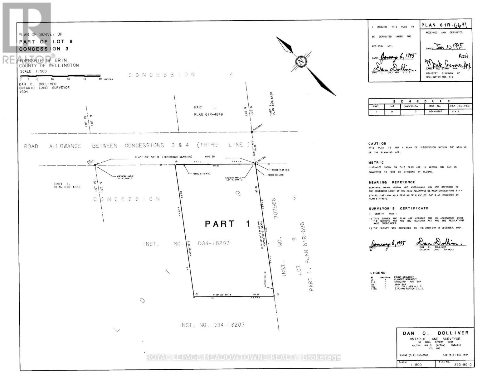
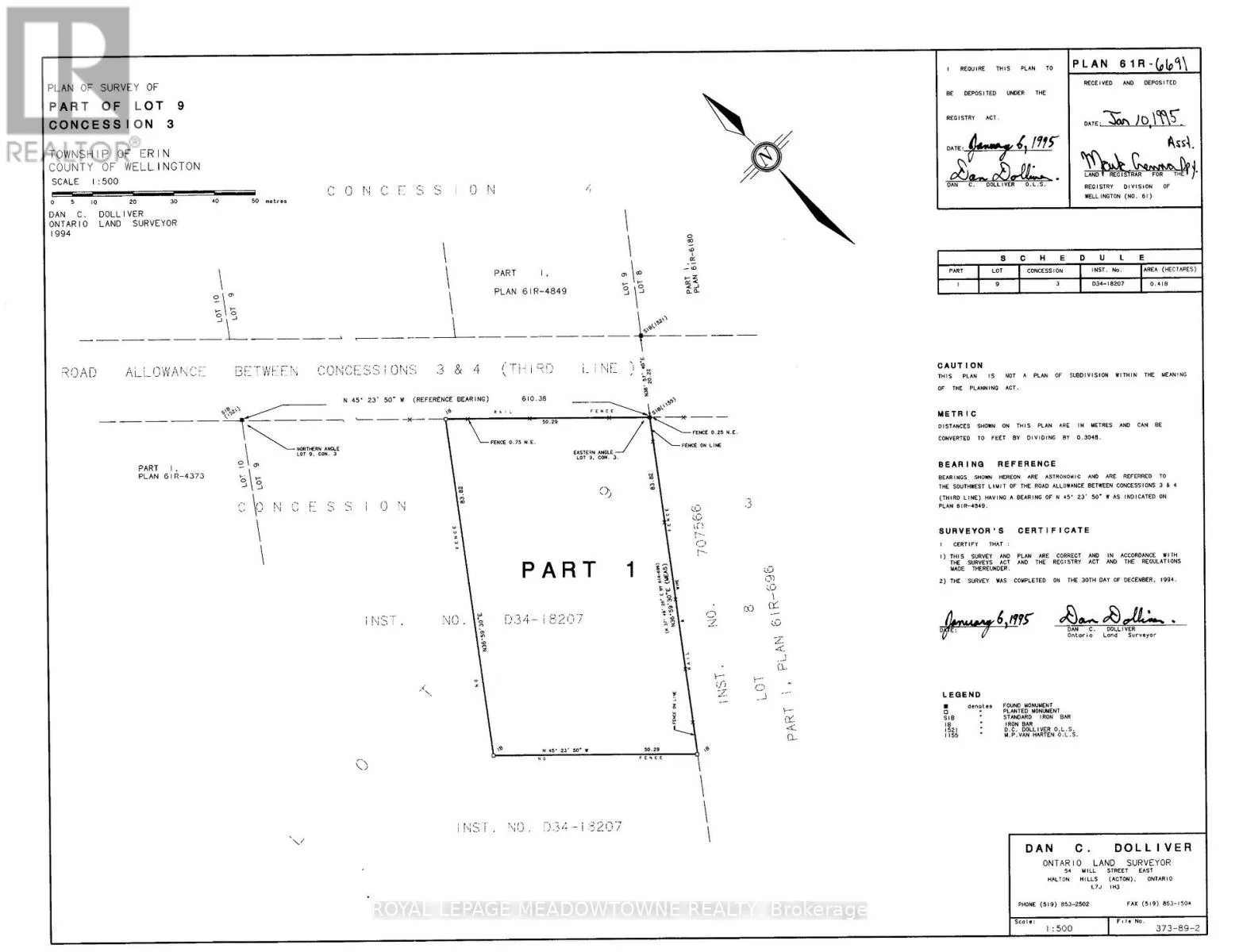
This 1.03 acre residential lot offers a great opportunity to build a home that suits your style and needs. The property can accommodate a passive solar design, a ranch bungalow, a modern or contemporary home. Set on a quiet country road, the location provides a peaceful rural setting while remaining close to Acton, Erin, Rockwood, and Guelph. Schools, shopping, commuter

routes, and everyday amenities are all within a short drive. The lot is ready to build and features a gentle slope that supports a full walk out basement. The elevation allows for excellent natural light and is well suited for an in law or secondary suite. You can also enjoy open views of surrounding farmland and forest. The land is dry, open and suitable for a variety of custom home designs. A key benefit is that the property is outside conservation authority jurisdiction, with confirmation on file showing no conservation restrictions. This allows you to move forward directly with building permit applications through the Town of Erin and Wellington County. The property is currently being farmed and benefits from OFA tax credits, which help reduce carrying costs until you are ready to build. A survey is available. Buyer to verify HST applicability. If you are looking for a build ready lot with a rural location, ideal grading for a walk out basement, energy efficiency passive solar positioning and no conservation restrictions, this is a rare opportunity. Please do not walk the property without an appointment. Be mindful of crops. The farmer reserves the right to harvest. GPS note: The property is located in the Town of Erin but carries an Acton municipal address. Enter 5223 Third Line in Google Maps. The property is directly across the road. (id:62650)

Read More
Basic Details
  • Property Type: Residential
  • Listing Type: For Sale
  • Listing ID: X12952732
  • Price: $599,000
  • View: View
  • Status: Active
  • Property Sub Type: Vacant Land
  • Office Key: 51483
Features & Appliances
Features
  • Utilities: Electricity Available, Electricity, Wireless
Address Map
  • Location: CA, Ontario, Erin, L7J2L8
  • Street: Third
  • Street Number: Lot 9
  • Street Suffix: Line
  • Longitude: W81° 57' 32.4''
  • Latitude: N43° 38' 48.2''
Additional Information
  • Lot Features:
  • Lot Size Dimensions: 164.99 x 275 Acre
Financial
  • Tax Annual Amount: 46
Powered by REALTOR.ca
Listing updated: 2026-04-25 07:08:00
List Your Property
Mortgage Calculator
Get Pre-Approved
$
$
%
%
years
Monthly Payment (Est.) $
Listing Information
  • List Agent Key: 1482000
  • List Office Key: 51483
  • Modification Timestamp: 2026-04-24T04:20:47Z
  • Originating System Name: Toronto Regional Real Estate Board
  • Status Change Timestamp: 2026-04-24T04:12:51Z
Powered by REALTOR.ca
Listing updated: 2026-04-25 07:08:01
REALTOR®, REALTORS®, and the REALTOR® logo are certification marks that are owned by REALTOR® Canada Inc. and licensed exclusively to The Canadian Real Estate Association (CREA). These certification marks identify real estate professionals who are members of CREA and who must abide by CREA’s By‐Laws, Rules, and the REALTOR® Code. The MLS® trademark and the MLS® logo are owned by CREA and identify the quality of services provided by real estate professionals who are members of CREA.

The information contained on this site is based in whole or in part on information that is provided by members of The Canadian Real Estate Association, who are responsible for its accuracy. CREA reproduces and distributes this information as a service for its members and assumes no responsibility for its accuracy.

Website is operated by a brokerage or salesperson who is a member of The Canadian Real Estate Association.

The listing content on this website is protected by copyright and other laws, and is intended solely for the private, non‐commercial use by individuals. Any other reproduction, distribution or use of the content, in whole or in part, is specifically forbidden. The prohibited uses include commercial use, “screen scraping”, “database scraping”, and any other activity intended to collect, store, reorganize or manipulate data on the pages produced by or displayed on this website.

By continuing to use this website and its services, you agree to these

These forms are provided to ComFree’s Unrepresented Sellers as a part of their Mere Posting ComFree Listing Contract.

I acknowledge I can only access these forms as a ComFree customer under contract.

These forms are provided to ComFree’s Unrepresented Sellers as a part of their Mere Posting ComFree Listing Contract and in partnership with Zubic Law.

I acknowledge I can only access these forms as a ComFree customer under contract.

These forms are provided to ComFree’s Unrepresented Sellers as a part of their Mere Posting ComFree Listing Contract and in partnership with Zubic Law.

I acknowledge I can only access these forms as a ComFree customer under contract.

How It Works

1. Purchase Your Package

2. We Ship Your ‘For Sale’ Sign

3. Book Your VR Tour

4. Complete Listing Input Forms

5. We Make Your Listing Live

6. Get Support 7 Days a Week

7. iSOLD!