Share
$999,900
Ontario,Prince Edward County (Athol Ward)
For Sale Active
2052 COUNTY RD 18 ROAD, Prince Edward County (Athol Ward), Ontario K0K2T0
  • 2,552 Sqft
Contact Seller
Basic Details
Description

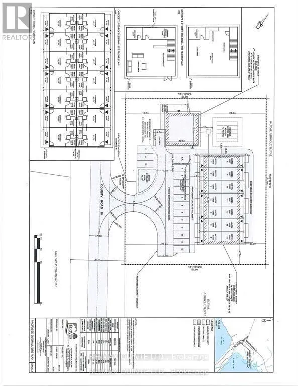
UNMATCHED SITE PLAN APPROVED HOTEL DEVELOPMENT OPPORTUNITY IN PRINCE EDWARD COUNTY !!!- THE CLOSEST PERMITTED HOTEL SITE TO SANDBANKS PROVINCIAL PARK!!!!. This exceptional property offers what no other hotel project ever will: legal proximity to Sandbanks Provincial Park. Due to municipal restrictions, no future hotel will be approved closer than this site-situated approximately 200 meters from the park’s main entrance.

The location provides an unmatched advantage for guests seeking walkable access to one of Ontario’s most popular tourist destinations, while remaining only minutes from the wineries, breweries, and dining options that define Prince Edward County. An approved Site Plan Agreement has been fully completed and is ready for execution. All required municipal reports and technical studies have already been conducted and submitted, creating a genuine shovel-ready development opportunity. The site plan calls for a one story building that contains 14 hotel rooms, each with their own outdoor patio, as well a 1500 sq ft, two story building that has a lobby/common area on the first floor and a large VIP suite on the second floor. There is a two bed, two bath house currently on the site that is used as an STA as well as a one story commercial building. The house generates 40k-50k in annual income. Current development plans call for the demolition of the commercial building and the house being moved to another location. A long list of studies and reports have been conducted. They include but are not limited to; light study, traffic study, environmental reports, hydrogeological, as built appraisal, site plan agreement and storm water management. An excellent sales package that includes revenue projections was also created by an MBA qualified business consultant. ****THE CURRENT LIST PRICE IS LOWER THAN THE APPRAISED VALUE*** (id:62650)

Read More
Basic Details
  • Property Type: Commercial Sale
  • Listing Type: For Sale
  • Listing ID: X12952508
  • Price: $999,900
  • Square Footage: 2,552 Sqft
  • Status: Active
  • Property Sub Type: Retail
  • Office Key: 52591
Features & Appliances
Features
  • Heating System: Baseboard heaters
  • Cooling System: Fully air conditioned
  • Sewer: Septic System
Address Map
  • Location: CA, Ontario, Prince Edward County (Athol Ward), K0K2T0
  • Street: COUNTY RD 18
  • Street Number: 2052
  • Street Suffix: Road
  • Longitude: W78° 45' 36.3''
  • Latitude: N43° 54' 37.1''
Additional Information
  • Water Source:
  • Lot Size Dimensions: 200 x 174 FT
Financial
  • Tax Annual Amount: 3087
Powered by REALTOR.ca
Listing updated: 2026-04-25 02:47:56
List Your Property
Mortgage Calculator
Get Pre-Approved
$
$
%
%
years
Monthly Payment (Est.) $
Similar Properties
Listing Information
  • List Agent Key: 2058468
  • List Office Key: 52591
  • Modification Timestamp: 2026-04-20T21:31:02Z
  • Originating System Name: Central Lakes Association of REALTORS®
  • Status Change Timestamp: 2026-04-20T21:20:47Z
Powered by REALTOR.ca
Listing updated: 2026-04-25 02:47:56
REALTOR®, REALTORS®, and the REALTOR® logo are certification marks that are owned by REALTOR® Canada Inc. and licensed exclusively to The Canadian Real Estate Association (CREA). These certification marks identify real estate professionals who are members of CREA and who must abide by CREA’s By‐Laws, Rules, and the REALTOR® Code. The MLS® trademark and the MLS® logo are owned by CREA and identify the quality of services provided by real estate professionals who are members of CREA.

The information contained on this site is based in whole or in part on information that is provided by members of The Canadian Real Estate Association, who are responsible for its accuracy. CREA reproduces and distributes this information as a service for its members and assumes no responsibility for its accuracy.

Website is operated by a brokerage or salesperson who is a member of The Canadian Real Estate Association.

The listing content on this website is protected by copyright and other laws, and is intended solely for the private, non‐commercial use by individuals. Any other reproduction, distribution or use of the content, in whole or in part, is specifically forbidden. The prohibited uses include commercial use, “screen scraping”, “database scraping”, and any other activity intended to collect, store, reorganize or manipulate data on the pages produced by or displayed on this website.

By continuing to use this website and its services, you agree to these

These forms are provided to ComFree’s Unrepresented Sellers as a part of their Mere Posting ComFree Listing Contract.

I acknowledge I can only access these forms as a ComFree customer under contract.

These forms are provided to ComFree’s Unrepresented Sellers as a part of their Mere Posting ComFree Listing Contract and in partnership with Zubic Law.

I acknowledge I can only access these forms as a ComFree customer under contract.

These forms are provided to ComFree’s Unrepresented Sellers as a part of their Mere Posting ComFree Listing Contract and in partnership with Zubic Law.

I acknowledge I can only access these forms as a ComFree customer under contract.

How It Works

1. Purchase Your Package

2. We Ship Your ‘For Sale’ Sign

3. Book Your VR Tour

4. Complete Listing Input Forms

5. We Make Your Listing Live

6. Get Support 7 Days a Week

7. iSOLD!