Share
$29,900
Ontario,Blind River
For Sale Active
206 Youngfox RD, Blind River, Ontario P0R1B0
Contact Seller
Basic Details
Description

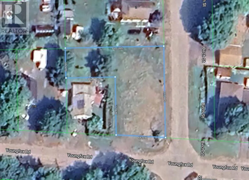
Cleared building lot on the corner of Youngfox Rd and Birch St. This lot is L-shaped and offers municipal water and sewer services at the lot line as well as Hydro and Gas. There are not many buildable lots available for purchase so now would be the time. This lot is very close to the brand new school that opens

in the fall of 2026. Close to walking trails and an 18 hole championship golf course. A great place to call home! (id:62650)

Read More
Basic Details
  • Property Type: Residential
  • Listing Type: For Sale
  • Listing ID: SM260691
  • Price: $29,900
  • Status: Active
  • Property Sub Type: Vacant Land
  • Office Key: 82219
Features & Appliances
Features
  • Sewer: Municipal sewage system
  • Utilities: Natural Gas, Electricity, Cable, Telephone
Address Map
  • Location: CA, Ontario, Blind River, P0R1B0
  • Longitude: W83° 1' 31.9''
  • Latitude: N46° 11' 6.8''
Additional Information
  • Water Source:
Financial
  • Tax Annual Amount: 203
Powered by REALTOR.ca
Listing updated: 2026-05-17 05:31:32
List Your Property
Mortgage Calculator
Get Pre-Approved
$
$
%
%
years
Monthly Payment (Est.) $
Similar Properties
Listing Information
  • List Agent Key: 1916924
  • List Office Key: 82219
  • Modification Timestamp: 2026-04-14T15:00:27Z
  • Originating System Name: Sault Ste. Marie Real Estate Board
  • Status Change Timestamp: 2026-04-14T14:50:32Z
Powered by REALTOR.ca
Listing updated: 2026-05-17 05:31:32
REALTOR®, REALTORS®, and the REALTOR® logo are certification marks that are owned by REALTOR® Canada Inc. and licensed exclusively to The Canadian Real Estate Association (CREA). These certification marks identify real estate professionals who are members of CREA and who must abide by CREA’s By‐Laws, Rules, and the REALTOR® Code. The MLS® trademark and the MLS® logo are owned by CREA and identify the quality of services provided by real estate professionals who are members of CREA.

The information contained on this site is based in whole or in part on information that is provided by members of The Canadian Real Estate Association, who are responsible for its accuracy. CREA reproduces and distributes this information as a service for its members and assumes no responsibility for its accuracy.

Website is operated by a brokerage or salesperson who is a member of The Canadian Real Estate Association.

The listing content on this website is protected by copyright and other laws, and is intended solely for the private, non‐commercial use by individuals. Any other reproduction, distribution or use of the content, in whole or in part, is specifically forbidden. The prohibited uses include commercial use, “screen scraping”, “database scraping”, and any other activity intended to collect, store, reorganize or manipulate data on the pages produced by or displayed on this website.

By continuing to use this website and its services, you agree to these

These forms are provided to ComFree’s Unrepresented Sellers as a part of their Mere Posting ComFree Listing Contract.

I acknowledge I can only access these forms as a ComFree customer under contract.

These forms are provided to ComFree’s Unrepresented Sellers as a part of their Mere Posting ComFree Listing Contract and in partnership with Zubic Law.

I acknowledge I can only access these forms as a ComFree customer under contract.

These forms are provided to ComFree’s Unrepresented Sellers as a part of their Mere Posting ComFree Listing Contract and in partnership with Zubic Law.

I acknowledge I can only access these forms as a ComFree customer under contract.

How It Works

1. Purchase Your Package

2. We Ship Your ‘For Sale’ Sign

3. Book Your VR Tour

4. Complete Listing Input Forms

5. We Make Your Listing Live

6. Get Support 7 Days a Week

7. iSOLD!